Mora
Maclura tinctoria

Native Region
Mexico to South America
Max Height
20-30 meters
Family
Moraceae
Conservation
LC
Uses
Season
Flowering
Mar-Apr
Fruiting
Jun-Aug
Mora (Dyer's Mulberry / Fustic)
The Mora (Maclura tinctoria), known internationally as Fustic or Dyer's Mulberry, has a history intertwined with global trade and textile arts. For centuries, the brilliant yellow heartwood of this tree was one of the most sought-after natural dyes in the world, shipped from Central and South America to Europe where it colored fabrics from peasant cloth to royal robes. Though synthetic dyes have largely replaced it, the Mora remains an important tree throughout the Neotropics, providing durable wood, food for wildlife, and a living connection to the pre-synthetic age when trees provided the colors that dressed the world.
Quick Reference
- Scientific Name
- Maclura tinctoria
- Family
- Moraceae
- Maximum Height
- 20-30 m
- Trunk Diameter
- Up to 100 cm
- Conservation
- Least Concern
- Key Trait
- Yellow dye wood; thorny
iNaturalist Observations
Community-powered species data
4000
Observations
186
Observers
📸 Photo Gallery
Photos sourced from the iNaturalist citizen science database. View all observations →↗
Taxonomy and Classification
- Maclura: After William Maclure, American geologist - tinctoria: Latin for "of dyers" - referring to its dye use - Moraceae: The mulberry/fig family - "Fustic" comes from Old French "fustoc" ultimately from Arabic
Common Names
| Language/Region | Common Name(s) | Notes |
|---|---|---|
| Spanish (CR) | Mora | Standard local name |
| English | Dyer's Mulberry, Fustic | Trade/common names |
| Spanish (general) | Palo de Mora, Moral | Regional variations |
| Trade | Fustic, Old Fustic | Historical dye trade |
| Portuguese | Tatajuba, Amoreira | Brazilian names |
| French | Mûrier des teinturiers | Dyer's mulberry |
Related Species
| Species | Common Name | Notes |
|---|---|---|
| Maclura pomifera | Osage Orange | North American relative |
| Morus alba | White Mulberry | Same family, silkworm tree |
| Ficus spp. | Fig trees | Same family (Moraceae) |
| Brosimum alicastrum | Breadnut | Same family, edible seeds |
Physical Description
General Form
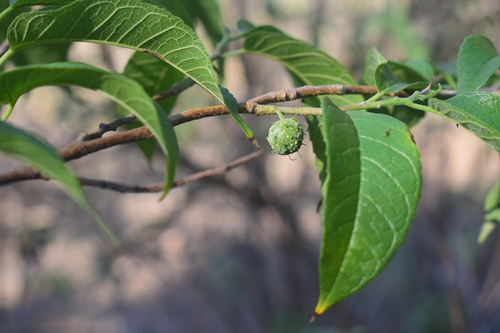
The Mora is a medium to large deciduous to semi-evergreen tree with a spreading crown. It is armed with sharp thorns on branches and twigs, especially on younger growth. The tree often has a slightly crooked trunk and irregular branching.
Identification Features
Bark and Trunk
- Bark color: Grayish-brown
- Texture: Rough, fissured
- Latex: White milky sap when cut
- Heartwood: BRIGHT YELLOW (distinctive!)
- Thorns: Present on branches
Leaves
- Type: Simple, alternate
- Shape: Ovate to elliptic
- Size: 5-15 cm long
- Margin: Serrated (toothed)
- Texture: Rough above, pubescent below
- Color: Dark green, yellow in dry season
Flowers
- Type: Dioecious (male/female separate)
- Male: Small catkins
- Female: Rounded heads
- Color: Greenish-yellow
- Timing: Early rainy season
Fruit
- Type: Multiple fruit (syncarp)
- Shape: Rounded, lumpy
- Size: 2-4 cm diameter
- Color: Green to yellow when ripe
- Edible: Yes, sweet when ripe
- Seeds: Small, embedded in flesh
The most distinctive feature of Mora is its heartwood: The Golden Test: - Cut a branch or look at cut wood - Heartwood is BRIGHT YELLOW - Intensely colored, obvious - Will stain hands yellow - Unique among common trees Other Identifiers: - Thorns on branches - White milky latex - Rough-textured leaves - Lumpy multiple fruit Similar Trees: - Other Moraceae have milky sap - But NONE have such yellow wood - The heartwood color is diagnostic
Distribution and Habitat
Global Distribution
Geographic Distribution
Distribution in Costa Rica
| Province | Abundance | Notes |
|---|---|---|
| Guanacaste | Common | Dry forest areas |
| Puntarenas | Common | Pacific lowlands |
| Alajuela | Common | Northern zone |
| San José | Present | Lower elevations |
| Heredia | Present | Lower areas |
| Limón | Common | Caribbean lowlands |
| Cartago | Rare | Only lowest areas |
Habitat Preferences
- Elevation: Sea level to 1,200 m
- Climate: Tropical dry to wet
- Precipitation: 1,000-4,000 mm/year
- Habitat: Forest edges, secondary growth, disturbed areas
- Light: Full sun to partial shade
- Soil: Various, tolerates poor soils
- Pioneer species: Colonizes cleared land
Historical Importance: The Dye Trade
Fustic: The Golden Dye of the Americas
The Mora's heartwood changed the history of textiles: The Dye: - Produces brilliant golden-yellow - Can be modified to orange, olive, gold - Color-fast and durable - Works on wool, silk, cotton Historical Trade: - Exported from Spanish colonies 1500s onward - Major trade commodity for centuries - Ships carried tons of dye wood to Europe - Called "Old Fustic" to distinguish from other yellows Uses: - Textile dyeing (primary use) - With indigo: greens - With madder: oranges - Wood staining - Ink production Decline: - Synthetic dyes (1856 onward) reduced demand - But natural dyeing revival has renewed interest - Still used by artisan dyers today For centuries, the forests of the Americas provided the golden color that dressed much of the world.
The Dyeing Process
| Step | Process | Result |
|---|---|---|
| 1. Harvest | Cut heartwood chips | Raw material |
| 2. Extract | Boil in water | Yellow dye bath |
| 3. Mordant | Prepare fiber with alum | Color acceptance |
| 4. Dye | Immerse fiber in bath | Yellow color |
| 5. Modify | Add iron, etc. for variations | Olive, gold shades |
| 6. Rinse/Dry | Fix color | Permanent dye |
Ecological Importance
Wildlife Value
Mammals
- Bats: Fruit dispersers
- Monkeys: Eat ripe fruit
- Agoutis: Fallen fruit
- Peccaries: Ground foraging
Birds
- Toucans: Eat fruit
- Parrots: Feed on fruit
- Various frugivores: Important food source
- Nesting: Dense crown provides sites
Mora plays an important role in forest regeneration: Pioneer Characteristics: - Fast growth in full sun - Tolerates poor soils - Produces abundant fruit - Attracts seed dispersers Succession Role: - Colonizes cleared areas - Provides shade for forest species - Contributes to soil building - Eventually replaced by climax species For Restoration: - Good choice for degraded lands - Attracts wildlife quickly - Native and adapted - Provides early shade
Uses
Timber
| Use | Description | Quality |
|---|---|---|
| Construction | Structural elements | Durable, strong |
| Posts | Fence posts, poles | Long-lasting |
| Furniture | Yellow color decorative | Attractive grain |
| Turnery | Turned objects | Works well |
| Tool handles | Various tools | Good durability |
| Flooring | Specialty floors | Hard-wearing |
Wood Properties
| Property | Characteristic | Notes |
|---|---|---|
| Density | High (700-850 kg/m³) | Heavy, strong |
| Hardness | Very hard | Difficult to work |
| Durability | Excellent | Naturally resistant |
| Color | Bright yellow heartwood | Darkens with age |
| Workability | Moderate (hard but workable) | Good finish |
| Dye content | High flavonoid content | Stains tools yellow |
Other Uses
| Use | Application | Notes |
|---|---|---|
| Natural dye | Textile coloring | Traditional/artisan |
| Living fences | Farm boundaries | Thorny barrier |
| Medicine | Various traditional uses | Bark, leaves |
| Wildlife food | Fruit for animals | Ecological value |
| Firewood | Fuel | Burns hot |
Cultivation
Growing Mora
Identification Guide
How to Identify Mora
Primary Identifiers:
- Bright yellow heartwood (cut branch)
- Thorns on branches
- White milky latex
- Rough-textured serrated leaves
- Lumpy round multiple fruit
Supporting Features:
- Medium tree, spreading crown
- Often in disturbed areas
- Lowland tropical habitat
Where to See Mora in Costa Rica
| Location | Context | Notes |
|---|---|---|
| Rural Guanacaste | Secondary forest, fences | Common in countryside |
| Northern Zone | Forest edges | San Carlos area |
| Pacific lowlands | Disturbed areas | Road edges, farms |
| Caribbean lowlands | Secondary forest | Common colonizer |
| National parks | Mixed forest | Various protected areas |
Mora is common but often overlooked: Where to Look: - Forest edges and clearings - Old pastures - Living fence rows - Secondary growth areas How to Confirm: - Look for thorny branches - Check for milky latex - If possible, see heartwood (yellow) - Lumpy round fruits when present Best Viewing: - Dry season: May see yellow fall color - Fruiting: Attracts wildlife - Any time: Yellow heartwood diagnostic Ask locals about "Mora" - it's well-known as a dye and fence tree throughout Central America.
External Resources
Community observations and photos
Information on natural dyeing
References
📚 Scientific References & Further Reading
Cardon, D. (2007). Natural Dyes: Sources, Tradition, Technology and Science. Archetype Publications
Francis, J.K. (1990). Maclura tinctoria - Fustic. USDA Forest Service Fact Sheet
Before synthetic chemistry transformed the world, the colors that adorned humanity came from nature—from plants, insects, minerals, and shells. The Mora was one of the great color-givers, its golden heartwood sailing across oceans in the holds of ships to color the textiles of Europe. Today, those trade routes are forgotten, the synthetic aniline dyes have conquered the market, and the Mora stands quietly in the forests and field edges of Central America, largely unaware of its illustrious past. But cut into a branch and the gold is still there—brilliant, unmistakable, a reminder that trees once dressed the world. For natural dyers keeping the old arts alive, for curious naturalists wanting to understand history, for anyone who has wondered where colors came from before chemistry, the Mora stands ready to share its gift. Its thorny branches guard that golden heart, but the color within has been freely given for centuries, painting the world in shades of sun.



