Mora
Maclura tinctoria

Datos rápidos
Región Nativa
México a Sudamérica
Altura Máxima
20-30 metros
Familia
Moraceae
Conservación
LC — Preocupación menor
Usos
Información de Seguridad
Detalles de Toxicidad
Toxicidad baja. Miembro de la familia Moraceae (mora/higo), que a menudo tienen látex lechoso. Los frutos son técnicamente comestibles pero no apetecibles—pequeños y secos. La savia puede contener irritantes leves. El árbol no se considera peligrosamente tóxico. Sin embargo, algunas especies de Moraceae pueden causar reacciones en individuos sensibles al látex.
Riesgos de Contacto con la Piel
La savia lechosa puede causar irritación leve de la piel en algunas personas, similar a otros miembros de la familia Moraceae. Generalmente seguro de manejar pero lávese las manos después del contacto con la savia. Las ramas tienen espinas que representan riesgo de lesión física.
Propiedades Alergénicas
Riesgo alérgeno bajo. Puede causar reacciones leves en individuos alérgicos al látex u otros miembros de la familia Moraceae (higos, moras). No es un alérgeno significativo.
Riesgos para Fauna y Mascotas
Seguro para la vida silvestre. Los frutos son comidos por aves y pequeños mamíferos a pesar de ser secos y pequeños. No se conoce que sea tóxico para mascotas o ganado.
Temporada
Floración
Mar-Abr
Fructificación
Jun-Ago
Cómo identificarlo
Mora (Palo de Mora / Fustic)
La Mora (Maclura tinctoria), conocida internacionalmente como Fustic o Dyer's Mulberry, tiene una historia entrelazada con el comercio global y las artes textiles. Durante siglos, el duramen amarillo brillante de este árbol fue uno de los tintes naturales más buscados del mundo, enviado desde Centro y Sudamérica a Europa donde coloreaba telas desde ropa de campesinos hasta túnicas reales. Aunque los tintes sintéticos lo han reemplazado en gran parte, la Mora sigue siendo un árbol importante en todo el Neotrópico, proporcionando madera durable, alimento para la fauna silvestre, y una conexión viva con la era pre-sintética cuando los árboles proporcionaban los colores que vestían al mundo.
Referencia Rápida
Observaciones de iNaturalist
Datos de especies impulsados por la comunidad
290+
Observaciones
186
Observadores
📸 Galería de Fotos
Whole tree
📷 (c) Manuel Víquez Carazo, all rights reserved(CC BY-NC)
Ver fuente ↗Leaves
📷 (c) Manuel Víquez Carazo, all rights reserved(CC BY-NC)
Ver fuente ↗Whole tree
📷 (c) Johan Gonzalez, all rights reserved(CC BY-NC)
Ver fuente ↗Leaves
📷 (c) Johan Gonzalez, all rights reserved(CC BY-NC)
Ver fuente ↗Whole tree
📷 (c) Shirley Innecken, all rights reserved(CC BY-NC)
Ver fuente ↗Fotos obtenidas de la base de datos de ciencia ciudadana iNaturalist. Ver todas las observaciones →↗
Taxonomía y Clasificación
- Maclura: Por William Maclure, geólogo estadounidense - tinctoria: Latín para "de tintoreros" - refiriéndose a su uso como tinte - Moraceae: La familia del moral/higo - "Fustic" viene del francés antiguo "fustoc" derivado del árabe
Nombres Comunes
Especies Relacionadas
Descripción Física
Forma General
La Mora es un árbol mediano a grande deciduo a semi-perenne con copa extendida. Está armado con espinas afiladas en ramas y ramitas, especialmente en crecimiento más joven. El árbol a menudo tiene tronco algo torcido y ramificación irregular.
Características de Identificación
Corteza y Tronco
- Color de corteza: Marrón grisáceo
- Textura: Áspera, fisurada
- Látex: Savia blanca lechosa al cortar
- Duramen: ¡AMARILLO BRILLANTE (distintivo)!
- Espinas: Presentes en ramas
Hojas
- Tipo: Simples, alternas
- Forma: Ovadas a elípticas
- Tamaño: 5-15 cm de largo
- Margen: Aserrado (dentado)
- Textura: Áspera arriba, pubescente abajo
- Color: Verde oscuro, amarillo en estación seca
Flores
- Tipo: Dioicas (macho/hembra separados)
- Masculinas: Amentos pequeños
- Femeninas: Cabezuelas redondeadas
- Color: Amarillo verdoso
- Época: Inicio de estación lluviosa
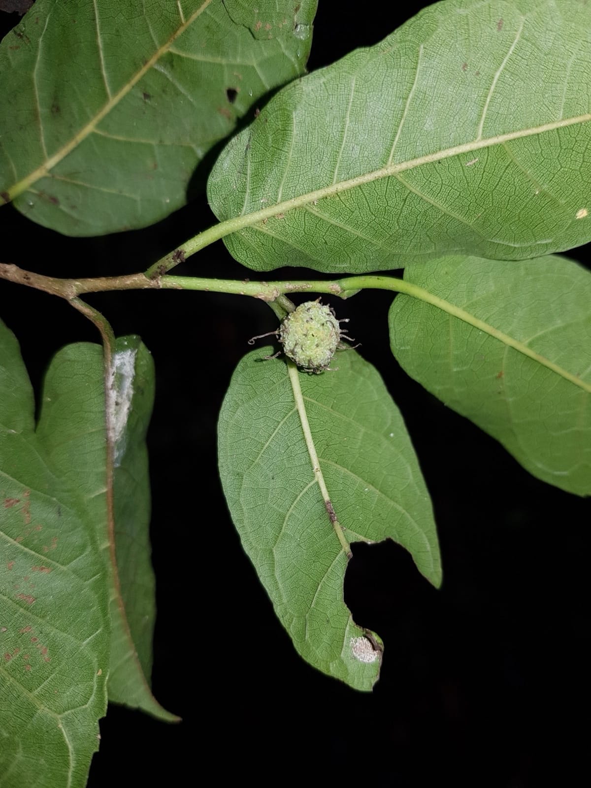
Fruto
- Tipo: Fruto múltiple (sincarpo)
- Forma: Redondeado, abultado
- Tamaño: 2-4 cm de diámetro
- Color: Verde a amarillo cuando maduro
- Comestible: Sí, dulce cuando maduro
- Semillas: Pequeñas, embebidas en pulpa
La característica más distintiva de la Mora es su duramen: La Prueba Dorada: - Corte una rama o mire madera cortada - El duramen es AMARILLO BRILLANTE - Intensamente coloreado, obvio - Manchará las manos de amarillo - Único entre árboles comunes Otros Identificadores: - Espinas en ramas - Látex blanco lechoso - Hojas de textura áspera - Fruto múltiple abultado Árboles Similares: - Otras Moraceae tienen savia lechosa - Pero NINGUNA tiene madera tan amarilla - El color del duramen es diagnóstico
Distribución y Hábitat
Distribución Global
Geographic Distribution
Distribución en Costa Rica
Preferencias de Hábitat
Importancia Histórica: El Comercio de Tintes
Fustic: El Tinte Dorado de las Américas
El duramen de la Mora cambió la historia de los textiles: El Tinte: - Produce amarillo dorado brillante - Puede modificarse a naranja, oliva, oro - Resistente al lavado y durable - Funciona en lana, seda, algodón Comercio Histórico: - Exportado desde colonias españolas desde 1500s - Mercancía comercial importante por siglos - Barcos llevaban toneladas de madera tinte a Europa - Llamado "Old Fustic" para distinguir de otros amarillos Usos: - Teñido de textiles (uso primario) - Con índigo: verdes - Con rubia: naranjas - Teñido de madera - Producción de tinta Declive: - Tintes sintéticos (desde 1856) redujeron demanda - Pero el renacimiento del teñido natural ha renovado interés - Todavía usado por tintoreros artesanales hoy Por siglos, los bosques de las Américas proporcionaron el color dorado que vestía gran parte del mundo.
El Proceso de Teñido
Importancia Ecológica
Valor para la Vida Silvestre
Mamíferos
- Murciélagos: Dispersores de fruta
- Monos: Comen fruta madura
- Guatusas: Fruta caída
- Saínos: Forrajeo en suelo
Aves
- Tucanes: Comen fruta
- Loras: Se alimentan de fruta
- Varios frugívoros: Fuente importante de alimento
- Anidación: Copa densa provee sitios
La Mora juega un rol importante en la regeneración del bosque: Características de Pionera: - Crecimiento rápido a pleno sol - Tolera suelos pobres - Produce fruta abundante - Atrae dispersores de semillas Rol en Sucesión: - Coloniza áreas desmontadas - Provee sombra para especies del bosque - Contribuye a formación de suelo - Eventualmente reemplazada por especies clímax Para Restauración: - Buena opción para tierras degradadas
- Atrae fauna rápidamente - Nativa y adaptada - Provee sombra temprana
Usos
Madera
Propiedades de la Madera
Otros Usos
Cultivo
Cultivando Mora
Guía de Identificación
Cómo Identificar la Mora
Dónde Ver Mora en Costa Rica
La Mora es común pero a menudo pasada por alto: Dónde Buscar: - Bordes de bosque y claros - Potreros viejos - Hileras de cercas vivas - Áreas de crecimiento secundario Cómo Confirmar: - Busque ramas espinosas - Verifique látex lechoso - Si es posible, vea duramen (amarillo) - Frutos redondos abultados cuando presentes Mejor Observación: - Estación seca: Puede ver color amarillo otoñal - Fructificación: Atrae fauna - Cualquier momento: Duramen amarillo diagnóstico Pregunte a locales sobre "Mora" - es bien conocida como árbol de tinte y cerca en toda Centroamérica.
Recursos Externos
Observaciones y fotos de la comunidad
Información sobre teñido natural
Global biodiversity occurrence data and distribution maps
Conservation status and species assessment
Referencias
📚 Referencias científicas y lecturas adicionales
Cardon, D. (2007). Natural Dyes: Sources, Tradition, Technology and Science. Archetype Publications
Francis, J.K. (1990). Maclura tinctoria - Fustic. USDA Forest Service Fact Sheet
Antes de que la química sintética transformara el mundo, los colores que adornaban a la humanidad venían de la naturaleza—de plantas, insectos, minerales y conchas. La Mora fue una de las grandes dadoras de color, su duramen dorado navegando a través de océanos en las bodegas de barcos para colorear los textiles de Europa. Hoy, esas rutas comerciales están olvidadas, los tintes sintéticos de anilina han conquistado el mercado, y la Mora permanece tranquilamente en los bosques y bordes de campos de Centroamérica, en gran parte inconsciente de su ilustre pasado. Pero corte una rama y el oro todavía está allí—brillante, inconfundible, un recordatorio de que los árboles una vez vistieron al mundo. Para los tintoreros naturales manteniendo vivas las artes antiguas, para los naturalistas curiosos queriendo entender la historia, para cualquiera que se haya preguntado de dónde venían los colores antes de la química, la Mora está lista para compartir su regalo. Sus ramas espinosas guardan ese corazón dorado, pero el color interior ha sido dado libremente por siglos, pintando el mundo en tonos de sol.
Descargo de Responsabilidad sobre Información de Seguridad
La información de seguridad se proporciona únicamente con fines educativos. Las reacciones individuales pueden variar significativamente según la edad, estado de salud, cantidad de exposición y sensibilidad individual. Siempre supervise a los niños cerca de las plantas. Consulte a un profesional médico o arborista certificado para inquietudes específicas. El Atlas de Árboles de Costa Rica no se hace responsable por lesiones o daños resultantes de la interacción con los árboles descritos en esta guía.
• Siempre supervise a los niños cerca de las plantas
• Consulte a un profesional médico si tiene dudas
• Busque atención médica inmediata si ocurre envenenamiento
Información compilada de fuentes toxicológicas autorizadas, literatura científica e informes de casos médicos.
Ayuda a mejorar esta página
¿Sabes algo sobre este árbol? Comparte conocimiento local, sugiere una corrección o envía una foto para mejorar esta guía para todas las personas.



